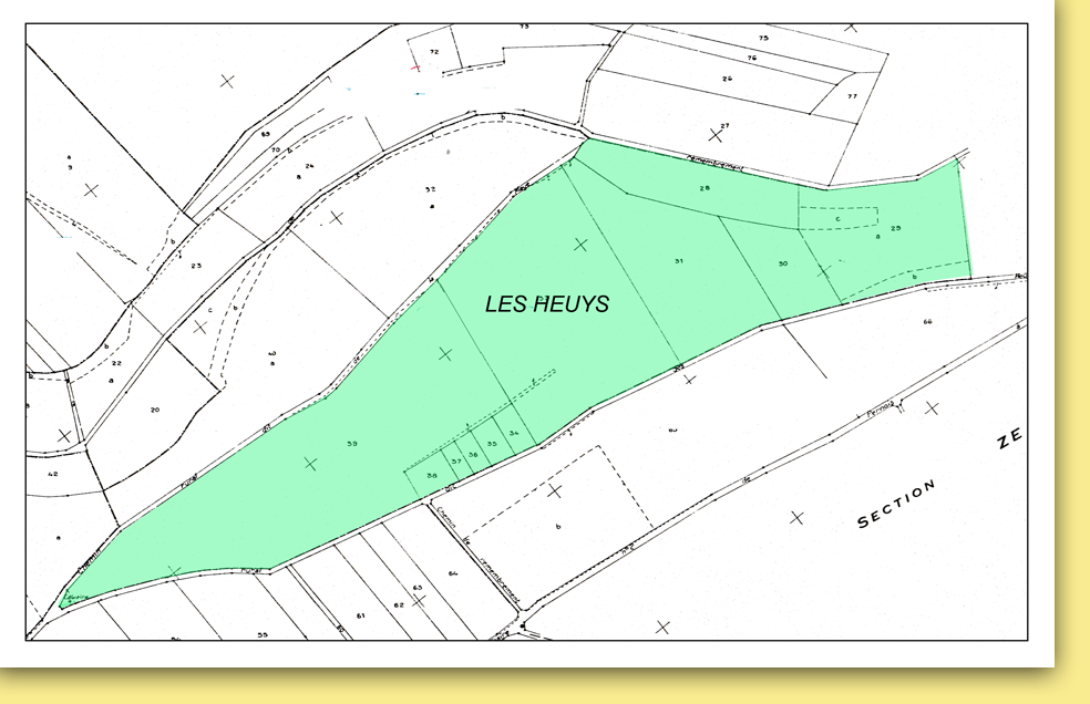
Les Heuy - Le Heuys

Hydronyme usité

Section D dite La Vallée de Beletre

C.N. 1832

Section ZA C. 1963

Section ZB C. 1963

 

..Quentin Baléden, notaire a acquis de Charles Delattre, cordonnier et Marie Madeleine Hirondar sa femme, un demi-journal au Heuy tenant d’un côté Jean François Bouillet, d’autre aux enfants Jean Houbart, d’un bout au Rideau de la Vallée Candas et d’autre au Sentier de Heuy tenu du fief de la Mule de Rivery, devant Mtre … notaire à Domart 4 mai 1783.

 anc. fr. : "euh" Xlème, "eauxis" Xllème, eauis, eauys : lieu placé sur les bords de l'eau, n'a été rencontré que comme nom de lieu ( Dic Godefroy)

pr. or. et pic. : " a chè euhi" avec cette glose d'Ulysse Martin "à mi-côte, vallée sèche aujourd'hui, petit courant d'eau parfois et présence de saules"

var. : Le Heuy 

 

Les Homonymes (Source IGN)

 

  • les Prés d'Heuys, Beaulieu-les-Fontaines

Date de dernière mise à jour : 05/07/2021

Aucune note. Soyez le premier à attribuer une note !